Coutarea hexandra (Rubiaceae)

Figura. 1 Habitad <i>Coutarea hexandra</i></i>, (Rubiaceae). Area de Conservación Guanacaste, Sector Rincón Rain Forest, Estación Leiva, Sendero Selva, (elevación 491 metros), colectada el 30 Julio 2022. Foto, Jorge Hernández.
IMG_8163
Figura. 1 Habitad Coutarea hexandra, (Rubiaceae). Area de Conservación Guanacaste, Sector Rincón Rain Forest, Estación Leiva, Sendero Selva, (elevación 491 metros), colectada el 30 Julio 2022. Foto, Jorge Hernández.
Figura. 2 Habitad <i>Coutarea hexandra</i></i>, (Rubiaceae). Area de Conservación Guanacaste, Sector Rincón Rain Forest, Estación Leiva, Sendero Selva, (elevación 491 metros), colectada el 30 Julio 2022. Foto, Jorge Hernández.
IMG_8177
Figura. 2 Habitad Coutarea hexandra, (Rubiaceae). Area de Conservación Guanacaste, Sector Rincón Rain Forest, Estación Leiva, Sendero Selva, (elevación 491 metros), colectada el 30 Julio 2022. Foto, Jorge Hernández.
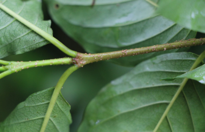
Figura. 3 Posición de hojas  <i>Coutarea hexandra</i></i>, (Rubiaceae). Area de Conservación Guanacaste, Sector Rincón Rain Forest, Estación Leiva, Sendero Selva, (elevación 491 metros), colectada el 30 Julio 2022. Foto, Jorge Hernández.
IMG_8185
Figura. 3 Posición de hojas Coutarea hexandra, (Rubiaceae). Area de Conservación Guanacaste, Sector Rincón Rain Forest, Estación Leiva, Sendero Selva, (elevación 491 metros), colectada el 30 Julio 2022. Foto, Jorge Hernández.
Figura. 4 Hoja envés <i>Coutarea hexandra</i></i>, (Rubiaceae). Area de Conservación Guanacaste, Sector Rincón Rain Forest, Estación Leiva, Sendero Selva, (elevación 491 metros), colectada el 30 Julio 2022. Foto, Jorge Hernández.
IMG_8214
Figura. 4 Hoja envés Coutarea hexandra, (Rubiaceae). Area de Conservación Guanacaste, Sector Rincón Rain Forest, Estación Leiva, Sendero Selva, (elevación 491 metros), colectada el 30 Julio 2022. Foto, Jorge Hernández.
Figura. 5 Hoja haz <i>Coutarea hexandra</i></i>, (Rubiaceae). Area de Conservación Guanacaste, Sector Rincón Rain Forest, Estación Leiva, Sendero Selva, (elevación 491 metros), colectada el 30 Julio 2022. Foto, Jorge Hernández.
IMG_8219
Figura. 5 Hoja haz Coutarea hexandra, (Rubiaceae). Area de Conservación Guanacaste, Sector Rincón Rain Forest, Estación Leiva, Sendero Selva, (elevación 491 metros), colectada el 30 Julio 2022. Foto, Jorge Hernández.
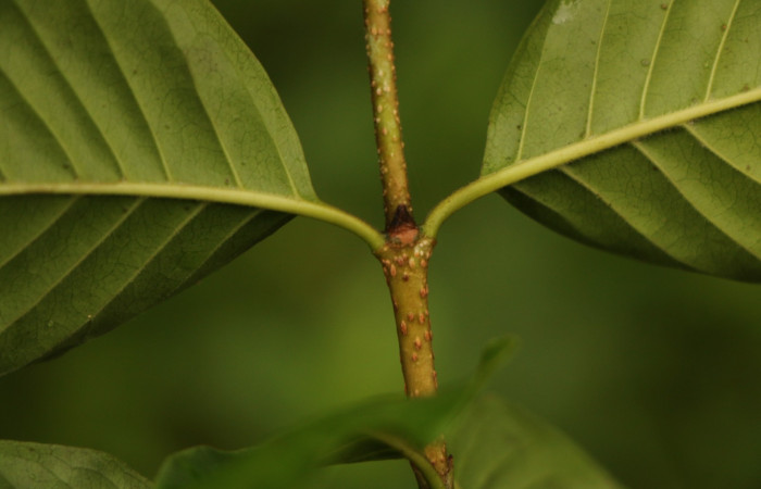
Figura. 6 Estipulas <i>Coutarea hexandra</i></i>, (Rubiaceae). Area de Conservación Guanacaste, Sector Rincón Rain Forest, Estación Leiva, Sendero Selva, (elevación 491 metros), colectada el 30 Julio 2022. Foto, Jorge Hernández.
IMG_8228
Figura. 6 Estipulas Coutarea hexandra, (Rubiaceae). Area de Conservación Guanacaste, Sector Rincón Rain Forest, Estación Leiva, Sendero Selva, (elevación 491 metros), colectada el 30 Julio 2022. Foto, Jorge Hernández.
Figura. 7 corteza <i>Coutarea hexandra</i></i>, (Rubiaceae). Area de Conservación Guanacaste, Sector Rincón Rain Forest, Estación Leiva, Sendero Selva, (elevación 491 metros), colectada el 30 Julio 2022. Foto, Jorge Hernández.
IMG_8167
Figura. 7 corteza Coutarea hexandra, (Rubiaceae). Area de Conservación Guanacaste, Sector Rincón Rain Forest, Estación Leiva, Sendero Selva, (elevación 491 metros), colectada el 30 Julio 2022. Foto, Jorge Hernández.
Figura. 8 Flores en rama <i>Coutarea hexandra</i></i>, (Rubiaceae). Area de Conservación Guanacaste, Sector Rincón Rain Forest, Estación Leiva, Sendero Selva, (elevación 491 metros), colectada el 30 Julio 2022. Foto, Jorge Hernández.
IMG_8178
Figura. 8 Flores en rama Coutarea hexandra, (Rubiaceae). Area de Conservación Guanacaste, Sector Rincón Rain Forest, Estación Leiva, Sendero Selva, (elevación 491 metros), colectada el 30 Julio 2022. Foto, Jorge Hernández.
Figura. 9 Flores en racimo <i>Coutarea hexandra</i></i>, (Rubiaceae). Area de Conservación Guanacaste, Sector Rincón Rain Forest, Estación Leiva, Sendero Selva, (elevación 491 metros), colectada el 30 Julio 2022. Foto, Jorge Hernández.
IMG_8176
Figura. 9 Flores en racimo Coutarea hexandra, (Rubiaceae). Area de Conservación Guanacaste, Sector Rincón Rain Forest, Estación Leiva, Sendero Selva, (elevación 491 metros), colectada el 30 Julio 2022. Foto, Jorge Hernández.
Figura. 10 Flor de frente <i>Coutarea hexandra</i></i>, (Rubiaceae). Area de Conservación Guanacaste, Sector Rincón Rain Forest, Estación Leiva, Sendero Selva, (elevación 491 metros), colectada el 30 Julio 2022. Foto, Jorge Hernández.
IMG_8203
Figura. 10 Flor de frente Coutarea hexandra, (Rubiaceae). Area de Conservación Guanacaste, Sector Rincón Rain Forest, Estación Leiva, Sendero Selva, (elevación 491 metros), colectada el 30 Julio 2022. Foto, Jorge Hernández.
Figura. 11 Flor lateral <i>Coutarea hexandra</i></i>, (Rubiaceae). Area de Conservación Guanacaste, Sector Rincón Rain Forest, Estación Leiva, Sendero Selva, (elevación 491 metros), colectada el 30 Julio 2022. Foto, Jorge Hernández.
IMG_8204
Figura. 11 Flor lateral Coutarea hexandra, (Rubiaceae). Area de Conservación Guanacaste, Sector Rincón Rain Forest, Estación Leiva, Sendero Selva, (elevación 491 metros), colectada el 30 Julio 2022. Foto, Jorge Hernández.
Figura. 12 Flor y botón <i>Coutarea hexandra</i></i>, (Rubiaceae). Area de Conservación Guanacaste, Sector Rincón Rain Forest, Estación Leiva, Sendero Selva, (elevación 491 metros), colectada el 30 Julio 2022. Foto, Jorge Hernández.
IMG_8198
Figura. 12 Flor y botón Coutarea hexandra, (Rubiaceae). Area de Conservación Guanacaste, Sector Rincón Rain Forest, Estación Leiva, Sendero Selva, (elevación 491 metros), colectada el 30 Julio 2022. Foto, Jorge Hernández.
Figura. 13 Botón <i>Coutarea hexandra</i></i>, (Rubiaceae). Area de Conservación Guanacaste, Sector Rincón Rain Forest, Estación Leiva, Sendero Selva, (elevación 491 metros), colectada el 30 Julio 2022. Foto, Jorge Hernández.
IMG_8206
Figura. 13 Botón Coutarea hexandra, (Rubiaceae). Area de Conservación Guanacaste, Sector Rincón Rain Forest, Estación Leiva, Sendero Selva, (elevación 491 metros), colectada el 30 Julio 2022. Foto, Jorge Hernández.
Figura. 14 Flor semi diseccionada <i>Coutarea hexandra</i></i>, (Rubiaceae). Area de Conservación Guanacaste, Sector Rincón Rain Forest, Estación Leiva, Sendero Selva, (elevación 491 metros), colectada el 30 Julio 2022. Foto, Jorge Hernández.
IMG_8221
Figura. 14 Flor semi diseccionada Coutarea hexandra, (Rubiaceae). Area de Conservación Guanacaste, Sector Rincón Rain Forest, Estación Leiva, Sendero Selva, (elevación 491 metros), colectada el 30 Julio 2022. Foto, Jorge Hernández.
Figura. 15 Flor vertical con estambre <i>Coutarea hexandra</i></i>, (Rubiaceae). Area de Conservación Guanacaste, Sector Rincón Rain Forest, Estación Leiva, Sendero Selva, (elevación 491 metros), colectada el 30 Julio 2022. Foto, Jorge Hernández.
IMG_8212
Figura. 15 Flor vertical con estambre Coutarea hexandra, (Rubiaceae). Area de Conservación Guanacaste, Sector Rincón Rain Forest, Estación Leiva, Sendero Selva, (elevación 491 metros), colectada el 30 Julio 2022. Foto, Jorge Hernández.
Figura. 16 Flor lateral con estambre <i>Coutarea hexandra</i></i>, (Rubiaceae). Area de Conservación Guanacaste, Sector Rincón Rain Forest, Estación Leiva, Sendero Selva, (elevación 491 metros), colectada el 30 Julio 2022. Foto, Jorge Hernández.
IMG_8238
Figura. 16 Flor lateral con estambre Coutarea hexandra, (Rubiaceae). Area de Conservación Guanacaste, Sector Rincón Rain Forest, Estación Leiva, Sendero Selva, (elevación 491 metros), colectada el 30 Julio 2022. Foto, Jorge Hernández.
Figura. 17 Botón <i>Coutarea hexandra</i></i>, (Rubiaceae). Area de Conservación Guanacaste, Sector Rincón Rain Forest, Estación Leiva, Sendero Selva, (elevación 491 metros), colectada el 30 Julio 2022. Foto. Jorge Hernández.
IMG_8239
Figura. 17 Botón Coutarea hexandra, (Rubiaceae). Area de Conservación Guanacaste, Sector Rincón Rain Forest, Estación Leiva, Sendero Selva, (elevación 491 metros), colectada el 30 Julio 2022. Foto. Jorge Hernández.
Figura. 18 Larva <i>Polyctor polyctor</i></i> (Hesperiidae), posición dorsal entero alimentándose en <i>Coutarea hexandra</i></i>, (Rubiaceae). (00-SRNP-14431-DHJ55620.jpg).
00-SRNP-14431-DHJ55620
Figura. 18 Larva Polyctor polyctor (Hesperiidae), posición dorsal entero alimentándose en Coutarea hexandra, (Rubiaceae). (00-SRNP-14431-DHJ55620.jpg).
Figura. 19 Adulto <i>Polyctor polyctor</i></i> (Hesperiidae), posición vista dorsal. (00-SRNP-14432-DHJ31986).
00-SRNP-14432-DHJ31986
Figura. 19 Adulto Polyctor polyctor (Hesperiidae), posición vista dorsal. (00-SRNP-14432-DHJ31986).
Figura. 20 Larva <i>Rothschildia erycina</i></i> (Saturniidae), posición dorsal entero alimentándose en <i>Coutarea hexandra</i></i>, (Rubiaceae). (80-SRNP-229-DHJ1408.jpg).
80-SRNP-229-DHJ1408
Figura. 20 Larva Rothschildia erycina (Saturniidae), posición dorsal entero alimentándose en Coutarea hexandra, (Rubiaceae). (80-SRNP-229-DHJ1408.jpg).
Figura. 21 Adulto <i>Rothschildia erycina</i></i> (Hesperiidae), posición vista dorsal. (00-SRNP-10979.37-DHJ31321).
00-SRNP-10979.37-DHJ31321
Figura. 21 Adulto Rothschildia erycina (Hesperiidae), posición vista dorsal. (00-SRNP-10979.37-DHJ31321).
Figura. 22 Larva <i>Simopteryx</i></i> torquatariaDHJ02 (Geometridae), posición dorsal entero alimentándose en <i>Coutarea hexandra</i></i>, (Rubiaceae). (17-SRNP-71532-DHJ738151.jpg).
17-SRNP-71532-DHJ738151
Figura. 22 Larva Simopteryx torquatariaDHJ02 (Geometridae), posición dorsal entero alimentándose en Coutarea hexandra, (Rubiaceae). (17-SRNP-71532-DHJ738151.jpg).
Figura. 23 Adulto <i> Simopteryx</i></i> torquatariaDHJ02 (Geometridae), posición vista dorsal. (04-SRNP-2245-DHJ326207).
04-SRNP-2245-DHJ326207
Figura. 23 Adulto Simopteryx torquatariaDHJ02 (Geometridae), posición vista dorsal. (04-SRNP-2245-DHJ326207).
Previous Next Play Pause