Combretum farinosum (Combretaceae)

Figura. 1 Habitad <i>Combretum farinosum</i></i>, (Combretaceae). Area de Conservación Guanacaste. Sector Santa Rosa. Sendero Casetilla, (elevación 250 metros). Colectada el 11 febrero  2022. Foto. Jorge Hernández.
IMG_7260
Figura. 1 Habitad Combretum farinosum, (Combretaceae). Area de Conservación Guanacaste. Sector Santa Rosa. Sendero Casetilla, (elevación 250 metros). Colectada el 11 febrero 2022. Foto. Jorge Hernández.
Figura. 2 Habitad <i>Combretum farinosum</i></i>, (Combretaceae). Area de Conservación Guanacaste. Sector  Santa Rosa. Sendero Casetilla. (elevación 250 metros), colectada el 11 febrero 2022. Foto. Jorge Hernández.
IMG_7265
Figura. 2 Habitad Combretum farinosum, (Combretaceae). Area de Conservación Guanacaste. Sector Santa Rosa. Sendero Casetilla. (elevación 250 metros), colectada el 11 febrero 2022. Foto. Jorge Hernández.
Figura. 3 Posición de hojas  <i>Combretum farinosum</i></i>, (Combretaceae). Area de Conservación Guanacaste. Sector  Santa Rosa. Sendero Casetilla. (elevación 250 metros), colectada el 11 febrero 2022. Foto. Jorge Hernández.
IMG_7239
Figura. 3 Posición de hojas Combretum farinosum, (Combretaceae). Area de Conservación Guanacaste. Sector Santa Rosa. Sendero Casetilla. (elevación 250 metros), colectada el 11 febrero 2022. Foto. Jorge Hernández.
Figura. 4 Hoja haz <i>Combretum farinosum</i></i>, (Combretaceae). Area de Conservación Guanacaste. Sector  Santa Rosa. Sendero Casetilla. (elevación 250 metros), colectada el 11 febrero 2022. Foto. Jorge Hernández.
IMG_7242
Figura. 4 Hoja haz Combretum farinosum, (Combretaceae). Area de Conservación Guanacaste. Sector Santa Rosa. Sendero Casetilla. (elevación 250 metros), colectada el 11 febrero 2022. Foto. Jorge Hernández.
Figura. 5 Hoja envés <i>Combretum farinosum</i></i>, (Combretaceae). Area de Conservación Guanacaste. Sector  Santa Rosa. Sendero Casetilla. (elevación 250 metros), colectada el 11 febrero 2022. Foto. Jorge Hernández.
IMG_7243
Figura. 5 Hoja envés Combretum farinosum, (Combretaceae). Area de Conservación Guanacaste. Sector Santa Rosa. Sendero Casetilla. (elevación 250 metros), colectada el 11 febrero 2022. Foto. Jorge Hernández.
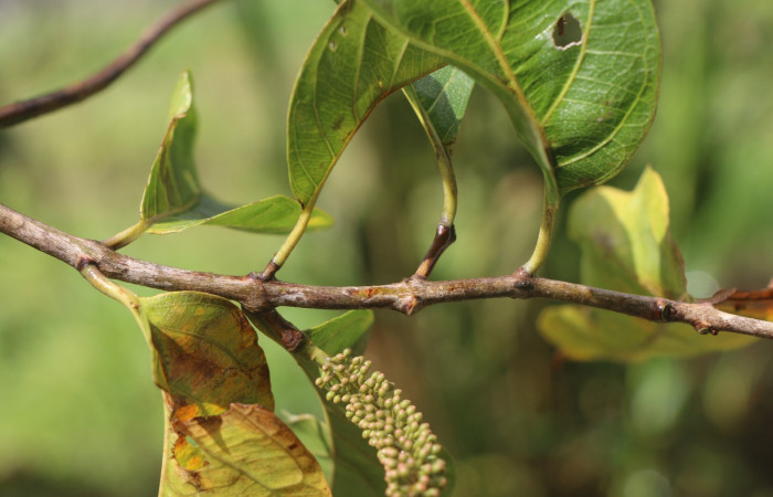
Figura. 6 Flores en rama <i>Combretum farinosum</i></i>, (Combretaceae). Area de Conservación Guanacaste. Sector  Santa Rosa. Sendero Casetilla. (elevación 250 metros), colectada el 11 febrero 2022. Foto. Jorge Hernández.
IMG_7264
Figura. 6 Flores en rama Combretum farinosum, (Combretaceae). Area de Conservación Guanacaste. Sector Santa Rosa. Sendero Casetilla. (elevación 250 metros), colectada el 11 febrero 2022. Foto. Jorge Hernández.
Figura. 7 Flores laterales  <i>Combretum farinosum</i></i>, (Combretaceae). Area de Conservación Guanacaste. Sector  Santa Rosa. Sendero Casetilla. (elevación 250 metros), colectada el 11 febrero 2022. Foto. Jorge Hernández.
IMG_7245
Figura. 7 Flores laterales Combretum farinosum, (Combretaceae). Area de Conservación Guanacaste. Sector Santa Rosa. Sendero Casetilla. (elevación 250 metros), colectada el 11 febrero 2022. Foto. Jorge Hernández.
Figura. 8 Flores laterales  <i>Combretum farinosum</i></i>, (Combretaceae). Area de Conservación Guanacaste. Sector  Santa Rosa. Sendero Casetilla. (elevación 250 metros), colectada el 11 febrero 2022. Foto. Jorge Hernández.
IMG_7248
Figura. 8 Flores laterales Combretum farinosum, (Combretaceae). Area de Conservación Guanacaste. Sector Santa Rosa. Sendero Casetilla. (elevación 250 metros), colectada el 11 febrero 2022. Foto. Jorge Hernández.
Figura. 9 Flores de frente <i>Combretum farinosum</i></i>, (Combretaceae). Area de Conservación Guanacaste. Sector  Santa Rosa. Sendero Casetilla. (elevación 250 metros), colectada el 11 febrero 2022. Foto. Jorge Hernández.
IMG_7226
Figura. 9 Flores de frente Combretum farinosum, (Combretaceae). Area de Conservación Guanacaste. Sector Santa Rosa. Sendero Casetilla. (elevación 250 metros), colectada el 11 febrero 2022. Foto. Jorge Hernández.
Figura. 10 Botones florales  <i>Combretum farinosum</i></i>, (Combretaceae). Area de Conservación Guanacaste. Sector  Santa Rosa. Sendero Casetilla. (elevación 250 metros), colectada el 11 febrero 2022. Foto. Jorge Hernández.
IMG_7227
Figura. 10 Botones florales Combretum farinosum, (Combretaceae). Area de Conservación Guanacaste. Sector Santa Rosa. Sendero Casetilla. (elevación 250 metros), colectada el 11 febrero 2022. Foto. Jorge Hernández.
Figura. 11 Flores laterales  <i>Combretum farinosum</i></i>, (Combretaceae). Area de Conservación Guanacaste. Sector  Santa Rosa. Sendero Casetilla. (elevación 250 metros), colectada el 11 febrero 2022. Foto. Jorge Hernández.
IMG_7255
Figura. 11 Flores laterales Combretum farinosum, (Combretaceae). Area de Conservación Guanacaste. Sector Santa Rosa. Sendero Casetilla. (elevación 250 metros), colectada el 11 febrero 2022. Foto. Jorge Hernández.
Figura. 12 Larva <i>Neotuerta sabulosa</i></i> (Noctuidae), posición dorsal entero alimentándose en <i> Combretum farinosum</i></i>, (Combretaceae). (91-SRNP-453-DHJ14072.jpg).
91-SRNP-453-DHJ14072
Figura. 12 Larva Neotuerta sabulosa (Noctuidae), posición dorsal entero alimentándose en Combretum farinosum, (Combretaceae). (91-SRNP-453-DHJ14072.jpg).
Figura. 13 Adulto <i>Neotuerta sabulosa</i></i> (Noctuidae), posición vista dorsal. (01-SRNP-12782-DHJ313750).
01-SRNP-12782-DHJ313750
Figura. 13 Adulto Neotuerta sabulosa (Noctuidae), posición vista dorsal. (01-SRNP-12782-DHJ313750).
Figura. 14 Larva <i>Cephise aelius</i></i> (Noctuidae), posición lateral entero alimentándose en <i>Combretum farinosum</i></i>, (Combretaceae). (93-SRNP-8655-DHJ26499.jpg).
93-SRNP-8655-DHJ26499
Figura. 14 Larva Cephise aelius (Noctuidae), posición lateral entero alimentándose en Combretum farinosum, (Combretaceae). (93-SRNP-8655-DHJ26499.jpg).
Figura. 15 Adulto <i>Cephise aelius</i></i> (Hesperiidae), posición vista dorsal. (94-SRNP-189-DHJ31547).
94-SRNP-189-DHJ31547
Figura. 15 Adulto Cephise aelius (Hesperiidae), posición vista dorsal. (94-SRNP-189-DHJ31547).
Figura. 16 Larva <i>Thagona</i></i> tibialisDHJ02 (Erebidae), posición dorsal entero alimentándose en <i>Combretum farinosum</i></i>, (Combretaceae). (95-SRNP-10532-DHJ26003.jpg).
95-SRNP-10532-DHJ26003
Figura. 16 Larva Thagona tibialisDHJ02 (Erebidae), posición dorsal entero alimentándose en Combretum farinosum, (Combretaceae). (95-SRNP-10532-DHJ26003.jpg).
Figura. 17 Adulto <i>Thagona</i></i> tibialisDHJ02 (Erebidae), posición vista dorsal. (96-SRNP-10219-DHJ33864).
96-SRNP-10219-DHJ33864
Figura. 17 Adulto Thagona tibialisDHJ02 (Erebidae), posición vista dorsal. (96-SRNP-10219-DHJ33864).
Previous Next Play Pause
1 2 3 4 5 6 7 8 9 10 11 12 13 14 15 16 17