Lepidaploa patens (Asteraceae)

Figura. 1 Habitad, <i>Lepidaploa patens</i></i>, (Asteraceae). Area de Conservación Guanacaste. Sector Rincón Rain Forest. Selva, (elevación 410 metros), colectada el 22 de marzo 2023. Foto, Jorge Hernández.
IMG_9749
Figura. 1 Habitad, Lepidaploa patens, (Asteraceae). Area de Conservación Guanacaste. Sector Rincón Rain Forest. Selva, (elevación 410 metros), colectada el 22 de marzo 2023. Foto, Jorge Hernández.
Figura. 2 Habitad, <i>Lepidaploa patens</i></i>, (Asteraceae). Area de Conservación Guanacaste. Sector Rincón Rain Forest. Selva, (elevación 410 metros), colectada el 22 de marzo 2023. Foto. Jorge Hernández.
IMG_9753
Figura. 2 Habitad, Lepidaploa patens, (Asteraceae). Area de Conservación Guanacaste. Sector Rincón Rain Forest. Selva, (elevación 410 metros), colectada el 22 de marzo 2023. Foto. Jorge Hernández.
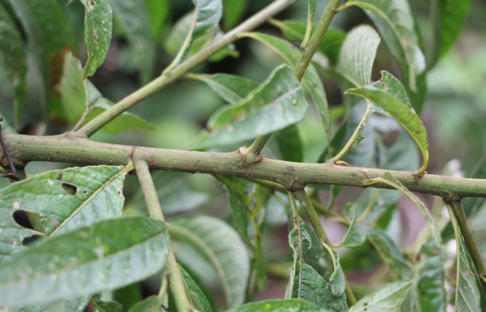
Figura. 3 Hojas posición, <i>Lepidaploa patens</i></i>, (Asteraceae). Area de Conservación Guanacaste. Sector Rincón Rain Forest. Selva, (elevación 410 metros), colectada el 22 de marzo 2023. Foto. Jorge Hernández.
IMG_9759
Figura. 3 Hojas posición, Lepidaploa patens, (Asteraceae). Area de Conservación Guanacaste. Sector Rincón Rain Forest. Selva, (elevación 410 metros), colectada el 22 de marzo 2023. Foto. Jorge Hernández.
Figura. 4 Hojas envés, <i>Lepidaploa patens</i></i>, (Asteraceae). Area de Conservación Guanacaste. Sector Rincón Rain Forest. Selva, (elevación 410 metros), colectada el 22 de marzo 2023. Foto. Jorge Hernández.
IMG_9770
Figura. 4 Hojas envés, Lepidaploa patens, (Asteraceae). Area de Conservación Guanacaste. Sector Rincón Rain Forest. Selva, (elevación 410 metros), colectada el 22 de marzo 2023. Foto. Jorge Hernández.
Figura. 5 Hojas haz, <i>Lepidaploa patens</i></i>, (Asteraceae). Area de Conservación Guanacaste. Sector Rincón Rain Forest. Selva, (elevación 410 metros), colectada el 22 de marzo 2023. Foto. Jorge Hernández.
IMG_9768
Figura. 5 Hojas haz, Lepidaploa patens, (Asteraceae). Area de Conservación Guanacaste. Sector Rincón Rain Forest. Selva, (elevación 410 metros), colectada el 22 de marzo 2023. Foto. Jorge Hernández.
Figura. 6 flores de frente , <i>Lepidaploa patens</i></i>, (Asteraceae). Area de Conservación Guanacaste. Sector Rincón Rain Forest. Selva, (elevación 410 metros), colectada el 22 de marzo 2023. Foto. Jorge Hernández.
IMG_9794
Figura. 6 flores de frente , Lepidaploa patens, (Asteraceae). Area de Conservación Guanacaste. Sector Rincón Rain Forest. Selva, (elevación 410 metros), colectada el 22 de marzo 2023. Foto. Jorge Hernández.
igura. 7 Flores de frente , <i>Lepidaploa patens</i></i>, (Asteraceae). Area de Conservación Guanacaste. Sector Rincón Rain Forest. Selva, (elevación 410 metros), colectada el 22 de marzo 2023. Foto. Jorge Hernández.
IMG_9800
igura. 7 Flores de frente , Lepidaploa patens, (Asteraceae). Area de Conservación Guanacaste. Sector Rincón Rain Forest. Selva, (elevación 410 metros), colectada el 22 de marzo 2023. Foto. Jorge Hernández.
igura. 8 flores punta de rama  , <i>Lepidaploa patens</i></i>, (Asteraceae). Area de Conservación Guanacaste. Sector Rincón Rain Forest. Selva, (elevación 410 metros), colectada el 22 de marzo 2023. Foto. Jorge Hernández.
IMG_9803
igura. 8 flores punta de rama , Lepidaploa patens, (Asteraceae). Area de Conservación Guanacaste. Sector Rincón Rain Forest. Selva, (elevación 410 metros), colectada el 22 de marzo 2023. Foto. Jorge Hernández.
Figura. 9 Larva <i>Elysius discoplaga</i></i> (Erebidae), posición dorsal entero alimentándose en <i>Lepidaploa patens</i></i>, (Asteraceae). (00-SRNP-433-DHJ52681.jpg).).
07-SRNP-1124-DHJ419513
Figura. 9 Larva Elysius discoplaga (Erebidae), posición dorsal entero alimentándose en Lepidaploa patens, (Asteraceae). (00-SRNP-433-DHJ52681.jpg).).
Figura. 10 Adulto <i>Elysius discoplaga</i></i> (Erebidae), posición vista dorsal entero. (000-SRNP-14176-DHJ38906).
00-SRNP-14176-DHJ38906
Figura. 10 Adulto Elysius discoplaga (Erebidae), posición vista dorsal entero. (000-SRNP-14176-DHJ38906).
Figura. 11 Adulto <i>Elysius discoplaga</i></i> (Erebidae), posición vista ventral entero. (00-SRNP-14176-DHJ38907).
00-SRNP-14176-DHJ38907
Figura. 11 Adulto Elysius discoplaga (Erebidae), posición vista ventral entero. (00-SRNP-14176-DHJ38907).
Previous Next Play Pause
1 2 3 4 5 6 7 8 9 10 11