Área de Conservación Guanacaste
Fuente de Vida y Desarrollo
Inicio
ACG
¿Qué es el ACG?
Historia
Designaciones Internacionales
Organización
Consejo Regional del ACG
Asesoría Legal
Gestión Administrativa
Planificación
Recursos Humanos
Donaciones y Colaboraciones
Transparencia
Noticias
Logos del ACG
Contacto
Catálogo de trámites
Voluntariado
Biodesarrollo
¿Qué es Biodesarrollo?
Programa de Ecoturismo
Programa de Educación Biológica
Programa de Investigación
Programa de Sectores
Programa Manejo del Fuego
Programa de Restauración y Silvicultura
Sector Marino ACG
Centro de Investigación y Estaciones Biológicas
Sistemas de Información Geográfica
Tecnologías de Información y Comunicación
Programa de Gestión Ambiental Institucional
Área Marina de Manejo Bahía Santa Elena
Ecoturismo
Sitios Turisísticos en el ACG
Sector Santa Rosa
Sector Pailas, Volcán Rincón de la Vieja
Sector Junquillal
Sector Murciélago
Sector Santa María, Volcán Rincón de la Vieja
Sector Horizontes
Sector Marino
Educación
Educación en el ACG
Programa de Educación Biológica
Educación Ambiental
Biosensibilización Marina
Bosque Seco Virtual
Boletín Rothschildia
Páginas de Especies
Observaciones de Biodiversidad
Libros para descargar
Investigación
Investigación en el ACG
Historia del Programa de Investigación
Programa de Parataxónomos
Investigaciones de Largo Plazo
Trámites para Permisos de Investigación
Cursos y Grupos
Filmaciones y Fotografías
Estaciones y Facilidades
Reservaciones
Preguntas Frecuentes
Mapas
Datos Meteorológicos
Páginas de Especies
Historia Natural de Costa Rica
Coleoptera de ACG
BioLep
Bioalfa
Protección
Programa Manejo del Fuego
Programa de Sectores
Prevención, Protección y Control
Sector Marino
Delitos contra las áreas protegidas
Impactos Negativos en la Biodiversidad
Denuncias Ambientales
Recursos Forestales y Vida Silvestre
Oficina Subregional Liberia
Permisos y Trámites
Vida Silvestre
Recurso Hídrico
Protección y Control
Corredores Biológicos
Patrimonio Natural
Pago Servicios Ambientales
Programa de Restauración y Silvicultura
Estación Experimetal Forestal Horizontes
Noticias
Ver todas las Noticias
Noticias ACG
Noticias Programa de Gestión Ambiental Institucional
Noticias Programa de Ecoturismo
Noticias del Programa de Educación Biológica
Noticias Programa de Investigación
Noticias Programa Manejo del Fuego
Noticias Programa de Sectores
Noticias Oficina Subregional de Liberia
Noticias de Restauración y Silvicultura
Noticias de Educación Ambiental
Noticias de Biosensibilización Marina
Noticias Sector Marino
Noticias Programa de Prevención Protección y Control
Noticias de AMM Bahía Santa Elena
Galería
Fotografías
Videos ACG
ACG 360
Sonidos del ACG
ACG Gigapan
Charlas
Home
Warning
: Undefined variable $separator in
/srv/www/nuevo.acguanacaste.ac.cr/templates/caribe/html/mod_breadcrumbs/default.php
on line
53
Páginas de Especies
Warning
: Undefined variable $separator in
/srv/www/nuevo.acguanacaste.ac.cr/templates/caribe/html/mod_breadcrumbs/default.php
on line
53
Spathilepia clonius
(Hesperiidae)
Parides zestos
(Papilionidae)
17-SRNP-31310-DHJ736920
Figura 1. Huevo de
Parides zestos
, familia (Papilionidae), Voucher. 17-SRNP-31310-DHJ736920.
17-SRNP-31310-DHJ739131
Figura 2. Posición lateral de
Parides zestos
, familia (Papilionidae). 17-SRNP-31310-DHJ739131.
17-SRNP-31310-DHJ739130
Figura 3. Posición dorsal de
Parides zestos
, familia (Papilionidae). Voucher 17-SRNP-31310-.DHJ739130.
95-SRNP-6067-DHJ23862
Figura 4. Posición lateral de
Parides zestos
, familia (Papilionidae). Voucher 95-SRNP-6067-DHJ23862.
95-SRNP-6067-DHJ23861
Figura 5. Posición dorsal de
Parides zestos
, familia (Papilionidae). Voucher 95-SRNP-6067-DHJ23861.
00-SRNP-164-DHJ52514
Figura 6. Posición lateral de
Parides zestos
, familia (Papilionidae). Voucher 00-SRNP-164-DHJ52514.
08-SRNP-4604-DHJ437566
Figura 7. Posición lateral de
Parides zestos
, familia (Papilionidae). Voucher 08-SRNP-4604-DHJ437566.
08-SRNP-4604-DHJ437567
Figura 8. Posición dorsal de
Parides zestos
, familia (Papilionidae). 08-SRNP-4604-DHJ437567.
03-SRNP-6082-DHJ74099
Figura 9. Pupa de
Parides zestos
en posición dorsal, familia (Papilionidae). 03-SRNP-6082-DHJ74099.
00-SRNP-165-DHJ52520
Figura 10. Pupa de
Parides zestos
en posición dorsal, familia (Papilionidae). 00-SRNP-165-DHJ52520.
00-SRNP-165-DHJ38742
Figura 11. Adulto de
Parides zestos
posición dorsal, familia (Papilionidae). 00-SRNP-165-DHJ38742.
00-SRNP-165-DHJ38743
Figura 12. Adulto de
Parides zestos
posición ventral, familia (Papilionidae), 00-SRNP-165-DHJ38743.
93-SRNP-427-DHJ38738
Figura 13. Adulto de
Parides zestos
posición dorsal, familia, (Papilionidae). 93-SRNP-427-DHJ38738.
93-SRNP-427-DHJ38739
Figura 14. Adulto de
Parides zestos
posición ventral, familia, (Papilionidae).93-SRNP-427-DHJ38739.
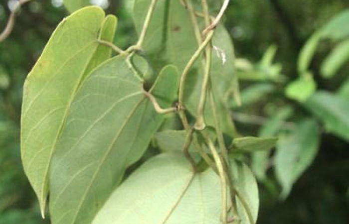
Aristolochia tonduzii
Figura 15. Hoja de planta
Aristolochia tonduzii,
(Aristolochiaceae), hospedera de la larva
Parides zestos
, Papilionidae. Foto, Jorge Hernández.
Aristolochia tonduzii,2
Figura 16. Planta
Aristolochia tonduzii,
(Aristolochiaceae), hospedera de la larva
Parides zestos
, Papilionidae. Foto, Jorge Hernández.olochia tonduzii2
Aristolochia tonduzii,1
Figura 17. Fruto de planta
Aristolochia tonduzii
(Aristolochiaceae), hospedera de la larva
Parides zestos
, Papilionidae. Foto, Jorge Hernández.
1
2
3
4
5
6
7
8
9
10
11
12
13
14
15
16
17