Bourreria Costaricensis (Ehretiaceae)

Figura. 1 Habitat <i>Bourreria costaricensis</i></i>, (Ehretiaceae). Area de Conservación Guanacaste, Sector Rincón Rain Forest, Estación Leiva,  (elevación 344 metros), colectada el 26 de Setiembre 2018. Foto, Jorge Hernández.
IMG_2973.JPG
Figura. 1 Habitat Bourreria costaricensis, (Ehretiaceae). Area de Conservación Guanacaste, Sector Rincón Rain Forest, Estación Leiva,  (elevación 344 metros), colectada el 26 de Setiembre 2018. Foto, Jorge Hernández.
Figura. 2 Habitat Planta, <i>Bourreria costaricensis</i></i>, (Ehretiaceae). Area de Conservación Guanacaste, Sector Rincón Rain Forest, Estación Leiva, (elevación 344 metros), colectada el 26 de Setiembre 2018. Foto, Jorge Hernández.
IMG_2975.JPG
Figura. 2 Habitat Planta, Bourreria costaricensis, (Ehretiaceae). Area de Conservación Guanacaste, Sector Rincón Rain Forest, Estación Leiva, (elevación 344 metros), colectada el 26 de Setiembre 2018. Foto, Jorge Hernández.
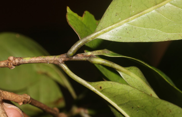
Figura. 3 Posición hojas  <i>Bourreria costaricensis</i></i>, (Ehretiaceae). Area de Conservación Guanacaste, Sector Rincón Rain Forest, Estación Leiva, (elevación 344 metros), colectada el 26 de Setiembre 2018. Foto, Jorge Hernández.
IMG_3019.JPG
Figura. 3 Posición hojas Bourreria costaricensis, (Ehretiaceae). Area de Conservación Guanacaste, Sector Rincón Rain Forest, Estación Leiva, (elevación 344 metros), colectada el 26 de Setiembre 2018. Foto, Jorge Hernández.
Figura. 4 Hojas envés  <i>Bourreria costaricensis</i></i>, (Ehretiaceae). Area de Conservación Guanacaste, Sector Rincón Rain Forest, Estación Leiva, (elevación 344 metros), colectada el 26 de Setiembre 2018. Foto, Jorge Hernández.
IMG_3016.JPG
Figura. 4 Hojas envés Bourreria costaricensis, (Ehretiaceae). Area de Conservación Guanacaste, Sector Rincón Rain Forest, Estación Leiva, (elevación 344 metros), colectada el 26 de Setiembre 2018. Foto, Jorge Hernández.
Figura. 5 Hojas haz  <i>Bourreria costaricensis</i></i>, (Ehretiaceae). Area de Conservación Guanacaste, Sector Rincón Rain Forest, Estación Leiva, (elevación 344 metros), colectada el 26 de Setiembre 2018. Foto, Jorge Hernández.
IMG_3018.JPG
Figura. 5 Hojas haz Bourreria costaricensis, (Ehretiaceae). Area de Conservación Guanacaste, Sector Rincón Rain Forest, Estación Leiva, (elevación 344 metros), colectada el 26 de Setiembre 2018. Foto, Jorge Hernández.
Figura. 6 Flor vista lateral  <i>Bourreria costaricensis</i></i>, (Ehretiaceae). Area de Conservación Guanacaste, Sector Rincón Rain Forest, Estación Leiva, (elevación 344 metros), colectada el 26 de Setiembre 2018. Foto, Jorge Hernández.
IMG_2979.JPG
Figura. 6 Flor vista lateral Bourreria costaricensis, (Ehretiaceae). Area de Conservación Guanacaste, Sector Rincón Rain Forest, Estación Leiva, (elevación 344 metros), colectada el 26 de Setiembre 2018. Foto, Jorge Hernández.
Figura. 7 Flor de frente <i>Bourreria costaricensis</i></i>, (Ehretiaceae). Area de Conservación Guanacaste, Sector Rincón Rain Forest, Estación Leiva, (elevación 344 metros), colectada el 26 de Setiembre 2018. Foto, Jorge Hernández.
IMG_3015.JPG
Figura. 7 Flor de frente Bourreria costaricensis, (Ehretiaceae). Area de Conservación Guanacaste, Sector Rincón Rain Forest, Estación Leiva, (elevación 344 metros), colectada el 26 de Setiembre 2018. Foto, Jorge Hernández.
Figura. 8 Flor vista lateral <i>Bourreria costaricensis</i></i>, (Ehretiaceae). Area de Conservación Guanacaste, Sector Rincón Rain Forest, Estación Leiva, (elevación 344 metros), colectada el 26 de Setiembre 2018. Foto, Jorge Hernández.
IMG_3011.JPG
Figura. 8 Flor vista lateral Bourreria costaricensis, (Ehretiaceae). Area de Conservación Guanacaste, Sector Rincón Rain Forest, Estación Leiva, (elevación 344 metros), colectada el 26 de Setiembre 2018. Foto, Jorge Hernández.
Figura. 9 Fruto en rama <i>Bourreria costaricensis</i></i>, (Ehretiaceae). Area de Conservación Guanacaste, Sector Rincón Rain Forest, Estación Leiva, (elevación 344 metros), colectada el 26 de Setiembre 2018. Foto, Jorge Hernández.
IMG_2976.JPG
Figura. 9 Fruto en rama Bourreria costaricensis, (Ehretiaceae). Area de Conservación Guanacaste, Sector Rincón Rain Forest, Estación Leiva, (elevación 344 metros), colectada el 26 de Setiembre 2018. Foto, Jorge Hernández.
Figura. 10 Fruto <i>Bourreria costaricensis</i></i>, (Ehretiaceae). Area de Conservación Guanacaste, Sector Rincón Rain Forest, Estación Leiva, (elevación 344 metros), colectada el 26 de Setiembre 2018. Foto, Jorge Hernández.
IMG_3024.JPG
Figura. 10 Fruto Bourreria costaricensis, (Ehretiaceae). Area de Conservación Guanacaste, Sector Rincón Rain Forest, Estación Leiva, (elevación 344 metros), colectada el 26 de Setiembre 2018. Foto, Jorge Hernández.
Figura. 11 Corteza <i>Bourreria costaricensis</i></i>, (Ehretiaceae). Area de Conservación Guanacaste, Sector Rincón Rain Forest, Estación Leiva, (elevación 344 metros), colectada el 26 de Setiembre 2018. Foto, Jorge Hernández.
IMG_3516.jpg
Figura. 11 Corteza Bourreria costaricensis, (Ehretiaceae). Area de Conservación Guanacaste, Sector Rincón Rain Forest, Estación Leiva, (elevación 344 metros), colectada el 26 de Setiembre 2018. Foto, Jorge Hernández.
Figura. 12 Larva <i>Cropia</i></i> Poole01 (Noctuidae), posición dorsal alimentándose en <i>Bourreria costarricenses</i></i> (Ehretiaceae). (03-SRNP-23626-DHJ79204.jpg).
03-SRNP-23626-DHJ79204.jpg
Figura. 12 Larva Cropia Poole01 (Noctuidae), posición dorsal alimentándose en Bourreria costarricenses (Ehretiaceae). (03-SRNP-23626-DHJ79204.jpg).
Figura 13. Adulto de <i>Cropia</i></i> Poole01 (Noctuidae), vista dorsal. (03-SRNP-23633-DHJ-314200.jpg).
03-SRNP-23633-DHJ314200.jpg
Figura 13. Adulto de Cropia Poole01 (Noctuidae), vista dorsal. (03-SRNP-23633-DHJ-314200.jpg).
Figura. 14 Larva <i>Ethmia baliostola</i></i> (Depressariidae), posición dorsal alimentándose en <i>Bourreria costarricenses</i></i> (Ehretiaceae). (07-SRNP-41088-DHJ422244.jpg).
07-SRNP-41088-DHJ422244.jpg
Figura. 14 Larva Ethmia baliostola (Depressariidae), posición dorsal alimentándose en Bourreria costarricenses (Ehretiaceae). (07-SRNP-41088-DHJ422244.jpg).
Figura 15. Adulto de <i>Ethmia baliostola</i></i> (Depressariidae), vista dorsal. (03-SRNP-29320-DHJ-338880.jpg).
03-SRNP-29320-DHJ338880.jpg
Figura 15. Adulto de Ethmia baliostola (Depressariidae), vista dorsal. (03-SRNP-29320-DHJ-338880.jpg).
Figura. 16 Larva <i>Ethmia millerorum</i></i> (Depressariidae), posición dorsal alimentándose en <i>Bourreria costarricenses</i></i> (Ehretiaceae). (09-SRNP-36150-DHJ456036.jpg).
09-SRNP-36150-DHJ456036.jpg
Figura. 16 Larva Ethmia millerorum (Depressariidae), posición dorsal alimentándose en Bourreria costarricenses (Ehretiaceae). (09-SRNP-36150-DHJ456036.jpg).
Figura 17. Adulto de <i>Ethmia millerorum</i></i> (Depressariidae), vista dorsal. (04-SRNP-338818-DHJ-338880.jpg).
04-SRNP-35309-DHJ338818.jpg
Figura 17. Adulto de Ethmia millerorum (Depressariidae), vista dorsal. (04-SRNP-338818-DHJ-338880.jpg).
Previous Next Play Pause
1 2 3 4 5 6 7 8 9 10 11 12 13 14 15 16 17