Área de Conservación Guanacaste
Fuente de Vida y Desarrollo
Inicio
ACG
¿Qué es el ACG?
Historia
Designaciones Internacionales
Organización
Consejo Regional del ACG
Asesoría Legal
Gestión Administrativa
Planificación
Recursos Humanos
Donaciones y Colaboraciones
Transparencia
Noticias
Logos del ACG
Contacto
Catálogo de trámites
Voluntariado
Biodesarrollo
¿Qué es Biodesarrollo?
Programa de Ecoturismo
Programa de Educación Biológica
Programa de Investigación
Programa de Sectores
Programa Manejo del Fuego
Programa de Restauración y Silvicultura
Sector Marino ACG
Centro de Investigación y Estaciones Biológicas
Sistemas de Información Geográfica
Tecnologías de Información y Comunicación
Programa de Gestión Ambiental Institucional
Área Marina de Manejo Bahía Santa Elena
Ecoturismo
Sitios Turisísticos en el ACG
Sector Santa Rosa
Sector Pailas, Volcán Rincón de la Vieja
Sector Junquillal
Sector Murciélago
Sector Santa María, Volcán Rincón de la Vieja
Sector Horizontes
Sector Marino
Educación
Educación en el ACG
Programa de Educación Biológica
Educación Ambiental
Biosensibilización Marina
Bosque Seco Virtual
Boletín Rothschildia
Páginas de Especies
Observaciones de Biodiversidad
Libros para descargar
Investigación
Investigación en el ACG
Historia del Programa de Investigación
Programa de Parataxónomos
Investigaciones de Largo Plazo
Trámites para Permisos de Investigación
Cursos y Grupos
Filmaciones y Fotografías
Estaciones y Facilidades
Reservaciones
Preguntas Frecuentes
Mapas
Datos Meteorológicos
Páginas de Especies
Historia Natural de Costa Rica
Coleoptera de ACG
BioLep
Bioalfa
Protección
Programa Manejo del Fuego
Programa de Sectores
Prevención, Protección y Control
Sector Marino
Delitos contra las áreas protegidas
Impactos Negativos en la Biodiversidad
Denuncias Ambientales
Recursos Forestales y Vida Silvestre
Oficina Subregional Liberia
Permisos y Trámites
Vida Silvestre
Recurso Hídrico
Protección y Control
Corredores Biológicos
Patrimonio Natural
Pago Servicios Ambientales
Programa de Restauración y Silvicultura
Estación Experimetal Forestal Horizontes
Noticias
Ver todas las Noticias
Noticias ACG
Noticias Programa de Gestión Ambiental Institucional
Noticias Programa de Ecoturismo
Noticias del Programa de Educación Biológica
Noticias Programa de Investigación
Noticias Programa Manejo del Fuego
Noticias Programa de Sectores
Noticias Oficina Subregional de Liberia
Noticias de Restauración y Silvicultura
Noticias de Educación Ambiental
Noticias de Biosensibilización Marina
Noticias Sector Marino
Noticias Programa de Prevención Protección y Control
Noticias de AMM Bahía Santa Elena
Galería
Fotografías
Videos ACG
ACG 360
Sonidos del ACG
ACG Gigapan
Charlas
Home
Warning
: Undefined variable $separator in
/srv/www/nuevo.acguanacaste.ac.cr/templates/caribe/html/mod_breadcrumbs/default.php
on line
53
Páginas de Especies
Warning
: Undefined variable $separator in
/srv/www/nuevo.acguanacaste.ac.cr/templates/caribe/html/mod_breadcrumbs/default.php
on line
53
Passiflora oerstedii
(Passifloraceae)
Gouania polygama
(Rhamnaceae)
IMG_3788
Figura. 1 Habitad
Gouania polygama
, (Rhamnaceae). Area de Conservación Guanacaste. Sector Rincón Rain Forest, Estación Leiva, Cafecito, (elevación 455 metros). Colectada el 15 Abril 2021. Foto. Jorge Hernández.
IMG_3796
Figura. 2 Posición hojas
Gouania polygama
, (Rhamnaceae). Area de Conservación Guanacaste. Sector Rincón Rain Forest, Estación Leiva, Cafecito, (elevación 455 metros). Colectada el 15 Abril 2021. Foto. Jorge Hernández.
IMG_3800
Figura. 3 Hoja haz
Gouania polygama
, (Rhamnaceae). Area de Conservación Guanacaste. Sector Rincón Rain Forest, Estación Leiva, Cafecito, (elevación 455 metros). Colectada el 15 Abril 2021. Foto. Jorge Hernández.
IMG_3801
Figura. 4 Envés
Gouania polygama
, (Rhamnaceae). Area de Conservación Guanacaste. Sector Rincón Rain Forest, Estación Leiva, Cafecito, (elevación 455 metros). Colectada el 15 Abril 2021. Foto. Jorge Hernández.
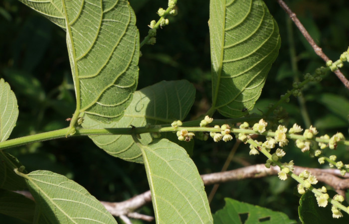
IMG_3789
Figura. 5 Flores en espiga
Gouania polygama
, (Rhamnaceae). Area de Conservación Guanacaste. Sector Rincón Rain Forest, Estación Leiva, Cafecito, (elevación 455 metros). Colectada el 15 Abril 2021. Foto. Jorge Hernández.
IMG_3795
Figura. 6 Flores en espiga
Gouania polygama
, (Rhamnaceae). Area de Conservación Guanacaste. Sector Rincón Rain Forest, Estación Leiva, Cafecito, (elevación 455 metros). Colectada el 15 Abril 2021. Foto. Jorge Hernández.
IMG_3803
Figura. 7 Flores en espiga
Gouania polygama
, (Rhamnaceae). Area de Conservación Guanacaste. Sector Rincón Rain Forest, Estación Leiva, Cafecito, (elevación 455 metros). Colectada el 15 Abril 2021. Foto. Jorge Hernández.
83-SRNP-1296-DHJ6335
Figura. 8 Larva
Hypercompe albescens
(Erebidae), posición dorsal entero alimentándose en
Gouania polygama
, (Rhamnaceae). (83-SRNP-1296-DHJ6335.jpg).
89-SRNP-447-DHJ39038
Figura. 9 Adulto
Hypercompe albescens
(Erebidae), posición vista dorsal. (89-SRNP-447-DHJ39038).
05-SRNP-34067-DHJ424200
Figura. 10 Larva
Erastria decrepitaria
(Geometridae), posición dorsal entero alimentándose en
Gouania polygama
, (Rhamnaceae). (05-SRNP-34067-DHJ424200.jpg).
01-SRNP-15894-DHJ325814
Figura. 11 Adulto
Erastria decrepitaria
(Geometridae), posición vista dorsal. (01-SRNP-15894-DHJ325814).
19-SRNP-30839-DHJ765165
Figura. 12 Larva
Crinodes besckei
(Notodontidae), posición dorsal entero alimentándose en
Gouania polygama
, (Rhamnaceae). (19-SRNP-30839-DHJ765165.jpg).
81-SRNP-35-DHJ32672
Figura. 13 Adulto
Crinodes besckei
(Notodontidae), posición vista dorsal. ( 81-SRNP-35-DHJ32672).
1
2
3
4
5
6
7
8
9
10
11
12
13